2168 Gaillard LaneNorth Charleston, SC 29405
Due to the health concerns created by Coronavirus we are offering personal 1-1 online video walkthough tours where possible.



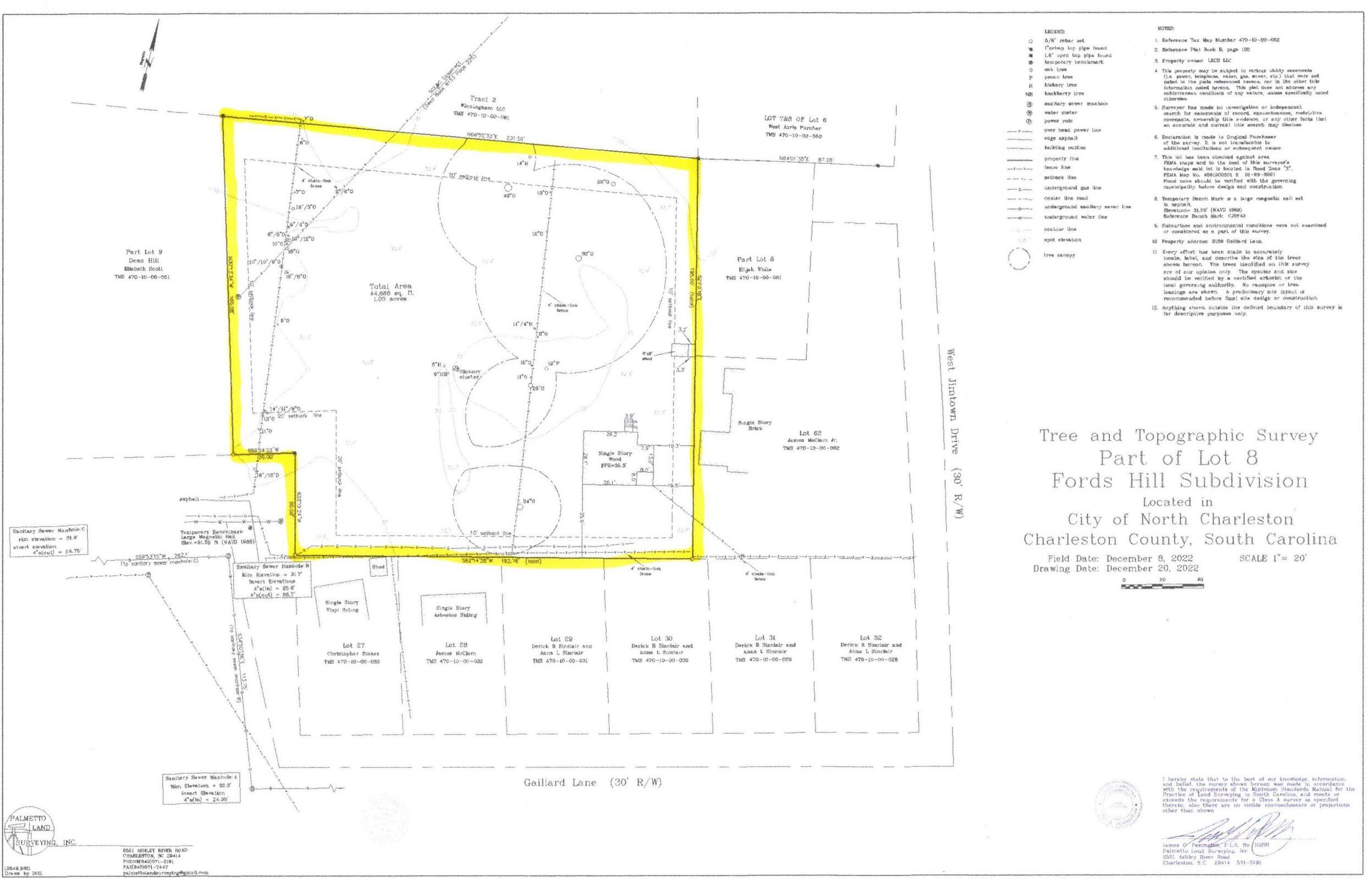
Builders Developers Investors - Rare chance in North Charleston! This 1.03-acre R-2 zoned site is already in process for approval as a 6-lot single-family subdivision, giving you a head start on development. The existing 3BR/1BA home on the property is likely a tear-down, though it could be rehabbed or rented for income while plans move forward. With flexible zoning, the land also has strong potential for townhomes, condos, or other multifamily options. The property is located directly in front of a newly built townhome community, highlighting the proven demand for additional housing in this area. Convenient access to major roads, top employers, and shopping make this an attractive location for future residents. Survey & due diligence available. Listing agent w/ ownership in property.
| a month ago | Listing updated with changes from the MLS® | |
| 3 months ago | Listing first seen on site |
Listing information is provided by Participants of the CHS Regional MLS. IDX information is provided exclusively for personal, non-commercial use, and may not be used for any purpose other than to identify prospective properties consumers may be interested in purchasing. Information is deemed reliable but not guaranteed. Copyright 2025, CHS Regional MLS.
Last checked: 2025-12-26 03:56 AM UTC

Did you know? You can invite friends and family to your search. They can join your search, rate and discuss listings with you.